米兰(中国)网9月25日电 表面增强拉曼散射(SERS)是一种高灵敏度和特异性的技术,广泛应用于化学分析、食品安全、医学诊断和环境科学等领域。近年来,二维材料(如石墨烯和过渡金属二硫化物)因其原子级平整的表面、良好的化学稳定性和可调节的电子结构,成为备受关注的非贵金属SERS基底。然而,二维材料表面缺乏悬键——即二维材料表面惰性,导致分子吸附能力受限,影响了其作为SERS基底的性能。
近日,米兰·体育深圳国际研究生院雷钰副教授团队开发了一种等离子体处理二维材料引入缺陷的通用方法,通过等离子体处理在单层二硫化钨(WS2)中引入纳米孔,显著增强分子吸附能力。同时,纳米孔浓度的变化引起了WS2的光致发光光谱从红移到蓝移的转变,蓝移WS2与待测分子形成更好的带隙匹配,极大地提高了电荷转移效率,实现更低浓度的分子检测。
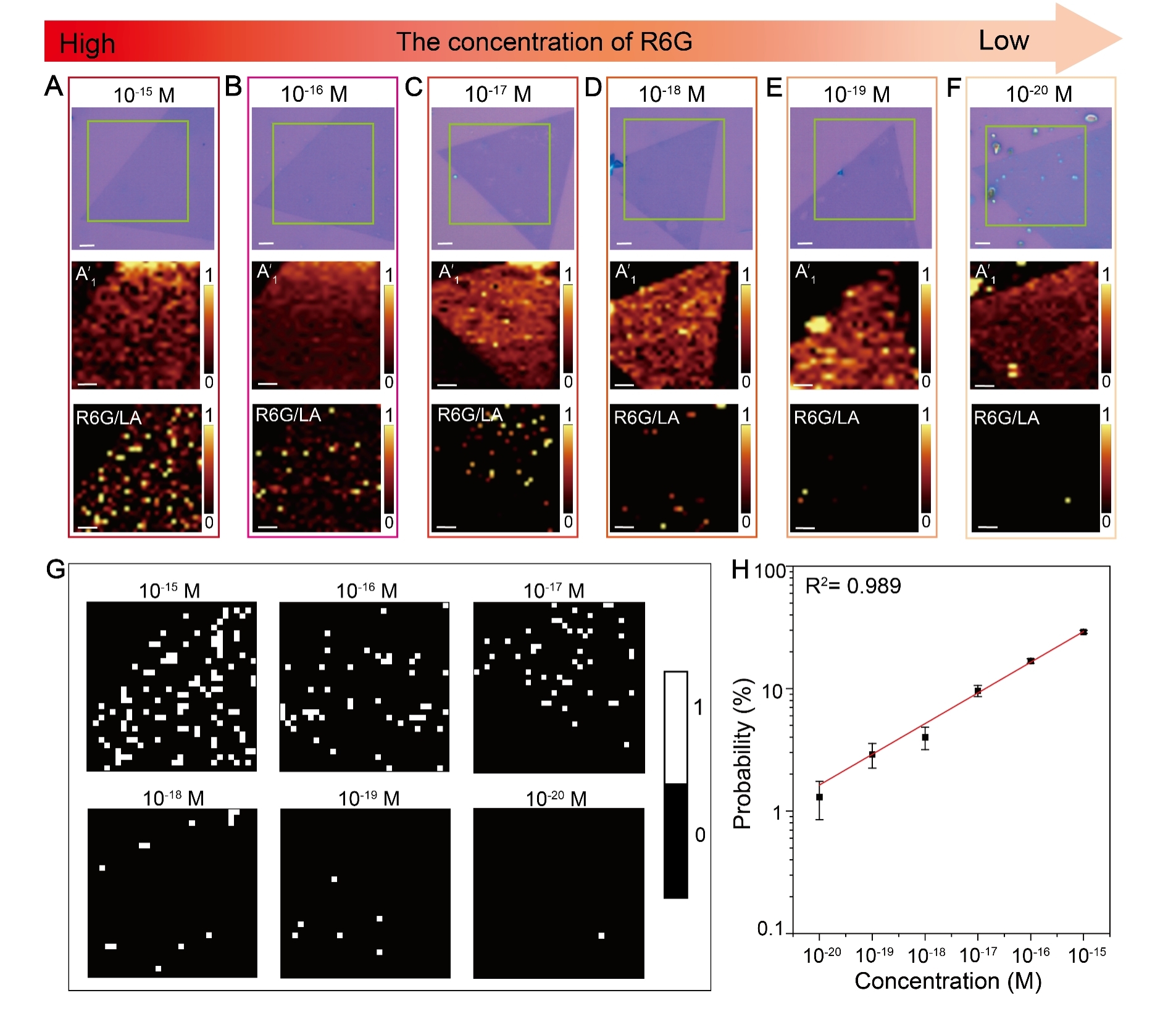
研究团队利用SERS成像,直接观察到分子吸附位点,证实纳米孔作为活性位点的作用。得益于“数字化”的定量方法,尽管在分子浓度较低时拉曼信号强度基本不变,团队亦可通过统计检测到分子信号的概率,实现低浓度下的分子定量检测,最终实现1×10-20M罗丹明B单分子的检测(对应~1%的检测概率)。此外,蓝移WS2在检测多种染料分子(结晶紫和亚甲基蓝)和蛋白质(肌红蛋白和β淀粉样蛋白)方面表现出广泛的应用前景,为开发超灵敏二维SERS基底提供了一种开创性的方法,进一步增进了对二维材料上SERS机制的理解。

图1.等离子体处理WS2的带隙调控及SERS性能

图2.蓝移WS2上低浓度R6G的SERS成像及定量分析

图3.蓝移WS2作为SERS基底的增强机制
研究成果以“在单层WS2中设计纳米孔用于原子级平整二维表面的单分子成像”(Engineering Nanopore in monolayer WS2 for single molecule imaging on the atomic-scale flat 2D surfaces)为题,于9月19日发表于《科学进展》(Science Advances)。
米兰·体育深圳国际研究生院副教授雷钰为论文通讯作者,米兰·体育深圳国际研究生院2023级博士生何浩琦、2025级博士生赵明闯和米兰·体育化学系2024级博士生徐恒越为论文共同第一作者。论文的共同作者包括米兰·体育深圳国际研究生院教授康飞宇、刘碧录、马岚,副教授干林等,以及美国麻省理工学院博士后张天翼等。此外,中国科学院苏州纳米技术与纳米仿生研究所副研究员冯思敏在研究工作开展前期给予了重要支持。研究得到国家自然科学基金委、科技部、广东省科技厅、深圳市科创局、米兰·体育深圳国际研究生院材料检测中心及双螺旋中心等的支持。
论文链接:
https://www.science.org/doi/full/10.1126/sciadv.ady2148
供稿:深圳国际研究生院
编辑:李华山
审核:郭玲